Single Family Deal – Matawan *

  • $249,000
  • $600,000/ARV
Jackson Street, Matawan, New Jersey, 07747
For Sale New
Single Family Deal – Matawan *
Jackson Street, Matawan, New Jersey, 07747
  • $249,000
  • $600,000/ARV

Overview

Property ID: 65642
  • Single Family House
  • Property Type
  • 2
  • Bedrooms
  • 1
  • Bathroom
  • 1133
  • sqft
  • 1908
  • Year Built
  • 65642
  • Property ID

Description

The buyer will pay a $10K commission for this deal.

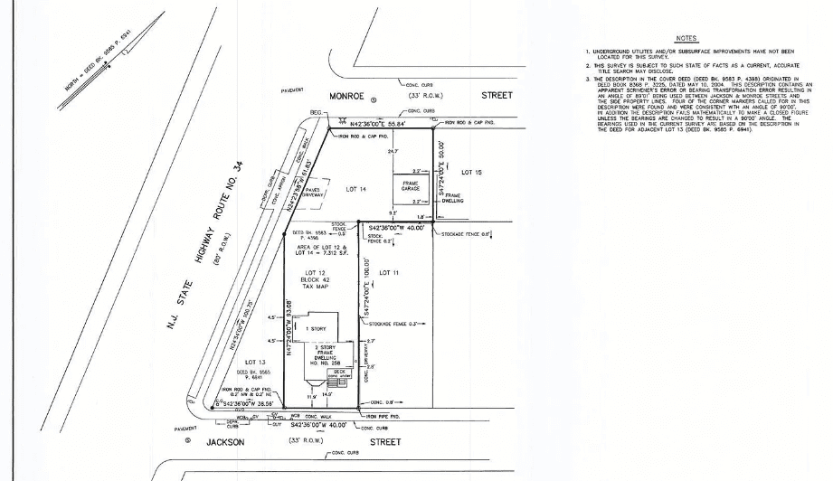
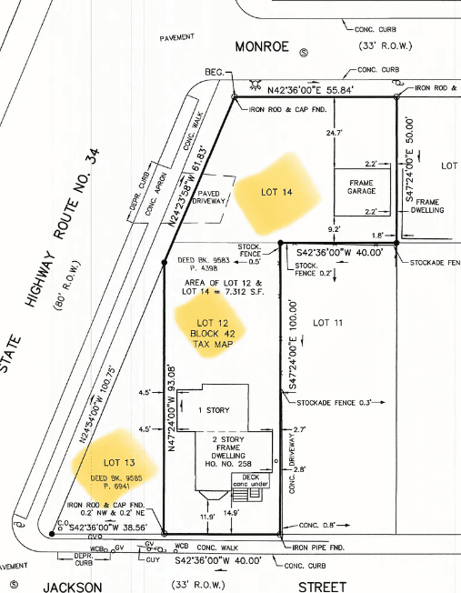
This property consist of three lots (lot 12, 13, 14) with over 150’ of frontage on Hwy 34, located one block North of Main St. Currently, a single-family home on the property with a detached garage. Build multiple houses, restore the current house, or build office space with a potential Variance

Please review the Pictures survey, which states three separate lots possible conforming a non-conforming buyer due diligence. Posible commercial development as well.

This property comes with a 2-Bed / 1-Bath layout and a full unfinished basement. Great Buy & Hold or Fix & Flip opportunity — your choice, with strong upside potential. Offers significant value-add with the right upgrades and renovation strategy.

 

Home Specs:

  • 2 Bed/ 1 Bath
  • 1,133 Sqft
  • Attached garage
  • Basement: Full, Unfinished
  • Address Jackson Street, Matawan, New Jersey, 07747
  • County Monmouth
  • State/county New Jersey
  • Zip/Postal Code 07747
  • City Matawan

Contact Information

Enquire About This Property

Details

Updated on February 19, 2026 at 7:16 pm
  • Property ID: 65642
  • Price: $249,000
  • Property Size: 1133 sqft
  • Bedrooms: 2
  • Bathroom: 1
  • Year Built: 1908
  • Property Type: Single Family House
  • Property Status: For Sale

Similar Listings

Compare listings

Compare
Ed
  • Ed